Les agrumes rustiques à Waldi
Règles du forum
Rappel de la Charte
N'hésitez pas à vous présenter ! C'est toujours plus sympathique de commencer par un "Bonjour" et c'est très apprécié ! >>ICI<<
Pour signaler un abus cliquez sur l'icône
dans la zone du message concerné.
Rappel de la Charte N'hésitez pas à vous présenter ! C'est toujours plus sympathique de commencer par un "Bonjour" et c'est très apprécié ! >>ICI<<
Pour signaler un abus cliquez sur l'icône
dans la zone du message concerné.
-
Fleur de Shakty
- Modérateur

- Messages : 18112
- Enregistré le : 08 févr. 2016 08:58
- Commune : Villepreux
- Localisation : Paris / Ile de France
- Sexe : Féminin
- Génération : 60 ans et plus
- Passion : Le jardin d'ornement
- Ma présentation : http://www.jardins-du-nord.fr/voici-fle ... t9420.html
Les agrumes rustiques à Waldi
J'espère que tout ce petit monde va bien se porter. Mon yuzu n'a toujours pas de nouvelles feuilles, le citronnier n'est pas encore dehors...

La terre a un chant. Elle porte le son de l'univers. Chaque créature a un chant. Chaque plante a un chant.

-
Philippe
- Administrateur

- Messages : 36140
- Enregistré le : 05 sept. 2009 20:37
- Commune : Ruitz
- Localisation : 62 Pas de Calais
- Sexe : Masculin
- Génération : 50 ans et plus
- Passion : Le jardin d'ornement
- Ma présentation : viewtopic.php?p=33#p33
- Contact :
Les agrumes rustiques à Waldi
Jello
… et que pour 2 ou 3 jours continus !waldi57200 a écrit : 24 févr. 2026 08:55
Ensuite, il faut savoir que la rusticité donné et pour des plants adultes.
Devenir membre de l'Association • Tout sur la présentation • Pour les Nouveaux Utilisateurs enregistrés • Se localiser sur la carte JDN •Une mauvaise herbe est une plante dont on n'a pas encore trouvé les vertus !

-
Fleur de Shakty
- Modérateur

- Messages : 18112
- Enregistré le : 08 févr. 2016 08:58
- Commune : Villepreux
- Localisation : Paris / Ile de France
- Sexe : Féminin
- Génération : 60 ans et plus
- Passion : Le jardin d'ornement
- Ma présentation : http://www.jardins-du-nord.fr/voici-fle ... t9420.html
Les agrumes rustiques à Waldi
Ce n'est pas beaucoup, je ne savais pas... 

La terre a un chant. Elle porte le son de l'univers. Chaque créature a un chant. Chaque plante a un chant.

-
waldi57200
Auteur du sujet - Feuille agitée

- Messages : 5159
- Enregistré le : 02 nov. 2017 22:41
- Commune : Bliesbruck
- Localisation : 57 Moselle
- Sexe : Masculin
- Génération : 50 ans et plus
- Passion : Les fleurs
- Ma présentation : viewtopic.php?f=26&t=10823
Les agrumes rustiques à Waldi
Philippe a écrit : 05 avr. 2026 06:37 Jello![]()
… et que pour 2 ou 3 jours continus !waldi57200 a écrit : 24 févr. 2026 08:55
Ensuite, il faut savoir que la rusticité donné et pour des plants adultes.
Oui d’où la mise en place de protection adéquate en hiver et s’est toujours plus délicat la maintenance en pot qu’en pleine terre.
Je suis conscient de la difficulté et des pertes possibles mais s’est le jeu pour déterminer les variétés et les conditions à apporter pour trouver les espèces que je pourrais maintenir.

-
Philippe
- Administrateur

- Messages : 36140
- Enregistré le : 05 sept. 2009 20:37
- Commune : Ruitz
- Localisation : 62 Pas de Calais
- Sexe : Masculin
- Génération : 50 ans et plus
- Passion : Le jardin d'ornement
- Ma présentation : viewtopic.php?p=33#p33
- Contact :
Les agrumes rustiques à Waldi
C'est rarement précisé pour la vente bien évidemment
Un sujet très peu rustique peu supporter -10 une ou deux journée mais pas 5 jours d’affillés comme par chez nous. J’en ai fait les frais avec pas mal de plantes du Sud que j’ai tenté vainement s’acclimater !
Un sujet très peu rustique peu supporter -10 une ou deux journée mais pas 5 jours d’affillés comme par chez nous. J’en ai fait les frais avec pas mal de plantes du Sud que j’ai tenté vainement s’acclimater !
Devenir membre de l'Association • Tout sur la présentation • Pour les Nouveaux Utilisateurs enregistrés • Se localiser sur la carte JDN •Une mauvaise herbe est une plante dont on n'a pas encore trouvé les vertus !

-
waldi57200
Auteur du sujet - Feuille agitée

- Messages : 5159
- Enregistré le : 02 nov. 2017 22:41
- Commune : Bliesbruck
- Localisation : 57 Moselle
- Sexe : Masculin
- Génération : 50 ans et plus
- Passion : Les fleurs
- Ma présentation : viewtopic.php?f=26&t=10823
Les agrumes rustiques à Waldi
Oui Philippe tu as raison.
S’est pour cela que je n’achètes pas en jardinerie car la plus part du temps les plants viennent de pays au climat méditerranéen et bourré aux hormones
Par chez nous, le porte greffe poncirus est préconisé ou encore FA5 mais moi ce dernier a fait des dégâts alors que même soins apporté.
On verra bien ce que l’avenir me réserve mais bon sur certains groupes , il y a des personnes proches de moi qui on de beaux agrumes en pleine terre depuis des années.

-
waldi57200
Auteur du sujet - Feuille agitée

- Messages : 5159
- Enregistré le : 02 nov. 2017 22:41
- Commune : Bliesbruck
- Localisation : 57 Moselle
- Sexe : Masculin
- Génération : 50 ans et plus
- Passion : Les fleurs
- Ma présentation : viewtopic.php?f=26&t=10823
Les agrumes rustiques à Waldi
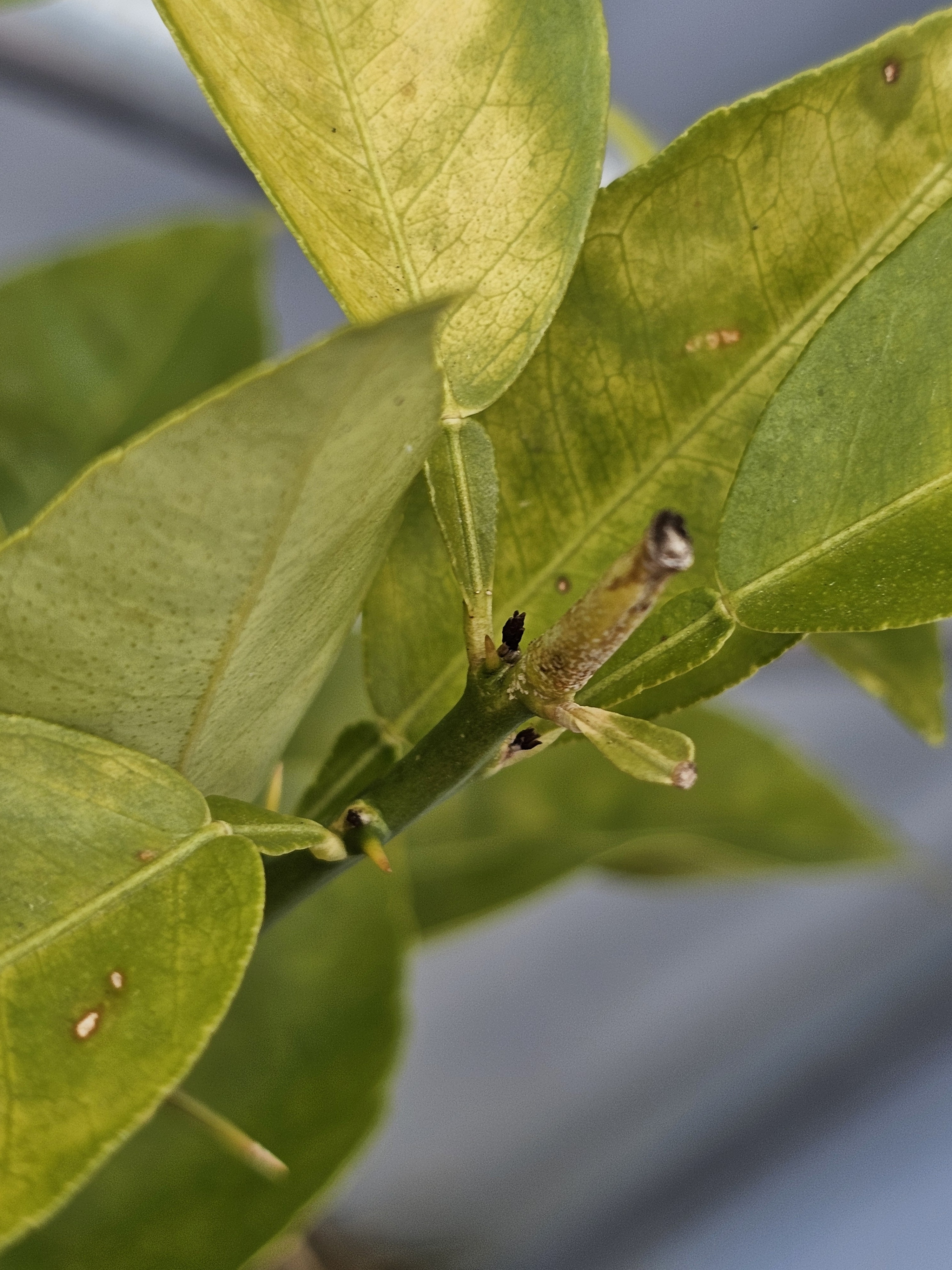
Comme promis il y a quelques jours je vous pose des photos de mes agrumes en sorties d'hiver.
Mon mandarinier Satsumas Owari sur FA5 à le plus souffert et j'ai du faire une taille drastique fin février car il avait un duvée grisatre sur le tronc et de la fumagine sur les feuilles.

De nouvelles pousses pointent le nez

Mon citrangeremo sur poncirus à passé l'hiver sans encombre

Mon mandarinier Satsumas Myagawa sur poncirus se porte également bien, juste une petite chlorose que je traite actuellement et sur celui ci des petites fleurs arrivent


Mon Sudachi également sur FA5 à pas mal jaunit mais il me fait également de petites fleurs


Enfin mon nouveau venu, s'est une création du Mas Bachès dans le sud, un Poncirus trifoliata variegata (feuillage panaché) qui est prévu en pleine terre courant mai



-
80Eli
- Semis timide

- Messages : 449
- Enregistré le : 08 févr. 2026 07:47
- Commune : Conty
- Localisation : 80 Somme
- Sexe : Féminin
- Génération : 60 ans et plus
- Passion : Les plantes d'intérieur
Les agrumes rustiques à Waldi
Sympa
Tu traites comment la chlorose ?
Je n'ai pas encore sorti les miens sauf 1 seul qui est malade depuis longtemps déjà
Tu traites comment la chlorose ?
Je n'ai pas encore sorti les miens sauf 1 seul qui est malade depuis longtemps déjà
